Seller Finance-Buildable Lots

Seller Finance-Buildable Lots

2 bed 1 bath 1040 sq ft Built in 1956 Single Family
Login or register to unlock this property’s address.
50
Quality of Comparables
Low High
10 /20
Level of Rehab
Heavy Light
2/20
Location of Neighborhood
Far Close
17/20
Quality of Floor Plan
Choppy Flowing
10/20
School Rating
F A
4/10
Placement in Neighborhood
Busy Calm
7/10
Property Details

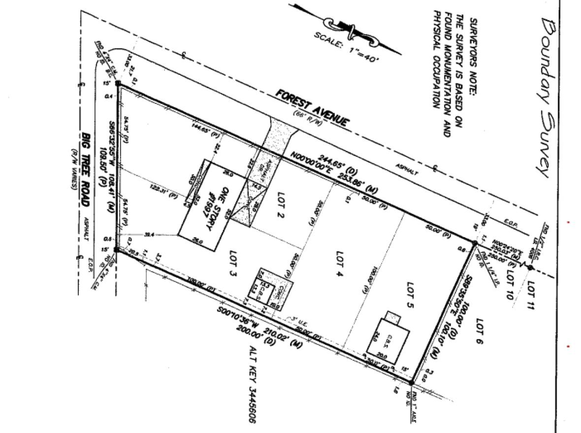
Attention builders and developers, this off-market opportunity offers multiple high-upside investment strategies.

Current asset:
2BR / 1BA block single-family home
1,040 sq ft
Situated on a buildable parcel with subdivision potential

Highest & Best Use:
The lot can be split into up to 5 buildable parcels.

Development Highlights:

  • County approval already in place

  • Existing structures must be removed

  • Site must be cleared prior to development

  • Construction drawings required for submission

  • Minimum lot size: 5,000 sq ft each

  • Minimum frontage: 50 ft

  • Setbacks: 20 ft front, 5 ft sides

This is a true value-add land play with flexibility, renovate and hold, tear down and build spec homes, or develop and sell individual lots.

Contact your Equity Pro advisor., opportunities with subdivision approval in place are rare. 

Ask about this property
Log in/Register to ask about this property.

We recommend flip
$98,800
Projected Income
19.71%
Estimated ROI

Comps

 
Listed
 
Pending
 
Sold

Unlock this property’s comps.